Diagnostic Terminé


Sclerotinia sclerotiorum

Lésion humide, brunâtre ceinturant la tige sur plusieurs centimètres de ce pied d'aubergine.  Notez la présence de gros sclérotes noirs sur certains secteurs de tissus altérés. (<i>Sclerotinia sclerotiorum</i>)
<i><b>Sclerotinia sclerotiorum</b></i> (sclérotiniose, <i>Sclerotinia</i> drop) sur aubergine6
<i><b>Sclerotinia sclerotiorum</b></i> (sclérotiniose, <i>Sclerotinia</i> drop) sur aubergine12
Lésion humide, brunâtre ceinturant la tige sur plusieurs centimètres de ce pied d'aubergine.  Notez le flétrissement  des feuilles situées en aval de la lésion. (<i>Sclerotinia sclerotiorum</i>)
<i><b>Sclerotinia sclerotiorum</b></i> (sclérotiniose, <i>Sclerotinia</i> drop) sur aubergine9
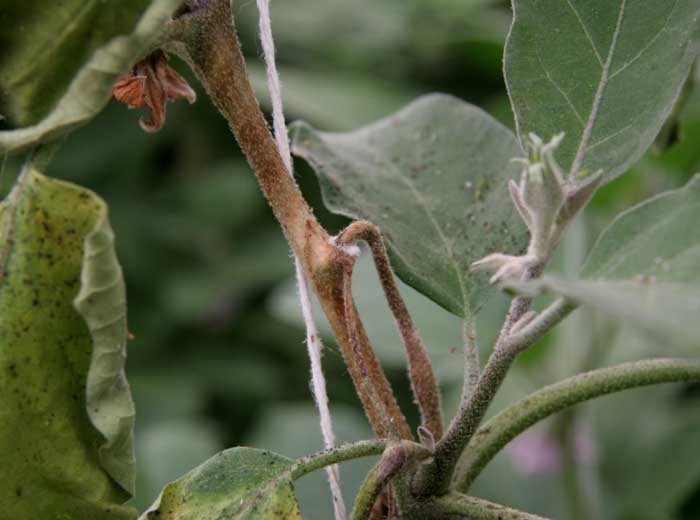
<i><b>Sclerotinia sclerotiorum</b></i> (sclérotiniose, <i>Sclerotinia</i> drop) sur aubergine14
Lésion humide, brunâtre ceinturant la tige sur plusieurs centimètres de ce pied d'aubergine.  Notez le flétrissement  des feuilles situées en aval de la lésion. (<i><b>Sclerotinia sclerotiorum</i></b>)
<i><b>Sclerotinia sclerotiorum</b></i> (sclérotiniose, <i>Sclerotinia</i> drop) sur aubergine 32
<i><b>Sclerotinia sclerotiorum</b></i> (sclérotiniose, <i>Sclerotinia</i> drop) sur aubergine5
<i><b>Sclerotinia sclerotiorum</b></i> (sclérotiniose, <i>Sclerotinia</i> drop) sur aubergine4
<i><b>Sclerotinia sclerotiorum</b></i> (sclérotiniose, <i>Sclerotinia</i> drop) sur aubergine15
<i><b>Sclerotinia sclerotiorum</b></i> (sclérotiniose, <i>Sclerotinia</i> drop) sur aubergine1
<i><b>Sclerotinia sclerotiorum</b></i> (sclérotiniose, <i>Sclerotinia</i> drop) sur aubergine16
<i><b>Sclerotinia sclerotiorum</b></i> (sclérotiniose, <i>Sclerotinia</i> drop) sur aubergine18
<i><b>Sclerotinia sclerotiorum</b></i> (sclérotiniose, <i>Sclerotinia</i> drop) sur aubergine7
Détail de gros sclérotes noirs et allongés  produits par (<i>Sclerotinia sclerotiorum</i>) au sein d'un mycélium blanc cotonneux. (sclérotiniose)
Détail d'apothécies de  (<i>Sclerotinia sclerotiorum</i>) émergeant du sol, petites "trompettes" matérialisant sa reproduction sexuée. (sclérotiniose)