Diagnóstico Hecho


Sclerotinia sclerotiorum

Lesión húmeda y pardusca que rodea el tallo en varios centímetros de este tallo de berenjena.  Nótese la presencia de grandes esclerocios negros en ciertas áreas de tejido alterado.  (<i> Sclerotinia sclerotiorum </i>)
<i> <b> Sclerotinia sclerotiorum </b> </i> en berenjena.
<i> <b> Sclerotinia sclerotiorum </b> </i> en berenjena.
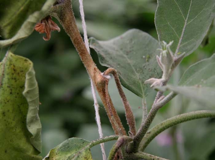
Lesión húmeda y pardusca que rodea el tallo en varios centímetros de este tallo de berenjena.  Nótese el marchitamiento de las hojas ubicadas aguas abajo de la lesión.  (<i> Sclerotinia sclerotiorum </i>)
<i> <b> Sclerotinia sclerotiorum </b> </i> en berenjena.
<i> <b> Sclerotinia sclerotiorum </b> </i> en berenjena.
Lesión húmeda y pardusca que rodea el tallo en varios centímetros de este tallo de berenjena.  Nótese el marchitamiento de las hojas ubicadas aguas abajo de la lesión.  (<i><b> Sclerotinia sclerotiorum </b></i>)
<i> <b> Sclerotinia sclerotiorum </b> </i>  sobre berenjena.
<i> <b> Sclerotinia sclerotiorum </b> </i> en berenjena.
<b><i>Sclerotinia sclerotiorum</b></i> en berenjena.
<i> <b> Sclerotinia sclerotiorum </b> </i> en berenjena.
<i> <b> Sclerotinia sclerotiorum </b> </i> en berenjena.
<i> <b> Sclerotinia sclerotiorum </b> </i> en berenjena.
<i> <b> Sclerotinia sclerotiorum </b> </i> en berenjena.
<i> <b> Sclerotinia sclerotiorum </b> </i> en berenjena.
Sclerotinia2
Sclerotinia1