Final diagnosis


Sclerotinia sclerotiorum

Wet, brownish lesion surrounding the stem on several centimeters of this eggplant stalk.  Note the presence of large black sclerotia on certain areas of altered tissue.  (<i> Sclerotinia sclerotiorum </i>)
<i><b>Sclerotinia sclerotiorum</b></i> (<i>Sclerotinia</i> drop) on eggplant.
<i><b>Sclerotinia sclerotiorum</b></i> (<i>Sclerotinia</i> drop) on eggplant.
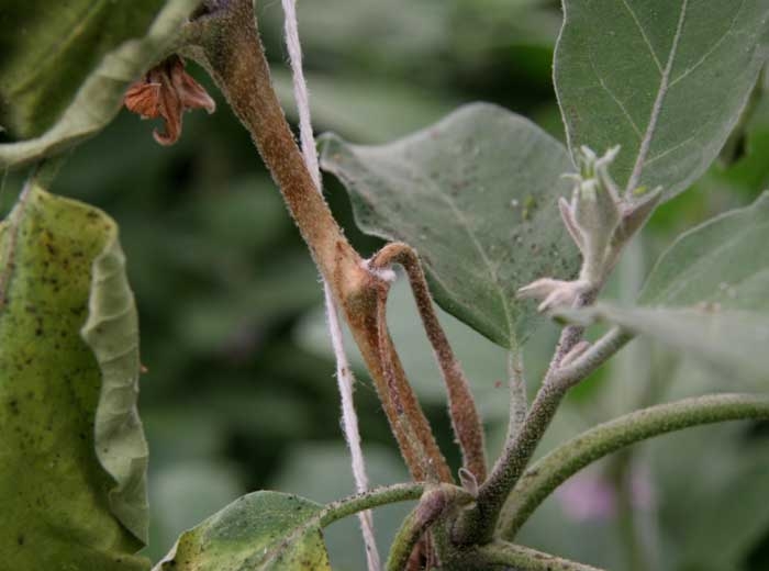
Wet, brownish lesion surrounding the stem on several centimeters of this eggplant stalk.  Note the wilting of the leaves located downstream of the lesion.  (<i> Sclerotinia sclerotiorum </i>)
<i><b>Sclerotinia sclerotiorum</b></i> (<i>Sclerotinia</i> drop) on eggplant.
<i><b>Sclerotinia sclerotiorum</b></i> (<i>Sclerotinia</i> drop) on eggplant.
Wet, brownish lesion girdling the stem over several centimeters of this eggplant plant.  Note the wilting of the leaves downstream of the lesion. (<i><b>Sclerotinia sclerotiorum</i></b>)
<i><b>Sclerotinia sclerotiorum</b></i> (<i>Sclerotinia</i> drop) on eggplant.
<i><b>Sclerotinia sclerotiorum</b></i> (<i>Sclerotinia</i> drop) on eggplant.
<i><b>Sclerotinia sclerotiorum</b></i> (<i>Sclerotinia</i> drop) on eggplant.
<i><b>Sclerotinia sclerotiorum</b></i> (<i>Sclerotinia</i> drop) on eggplant.
<i><b>Sclerotinia sclerotiorum</b></i> (<i>Sclerotinia</i> drop) on eggplant.
<i><b>Sclerotinia sclerotiorum</b></i> (<i>Sclerotinia</i> drop) on eggplant.
<i><b>Sclerotinia sclerotiorum</b></i> (<i>Sclerotinia</i> drop) on eggplant.
<i><b>Sclerotinia sclerotiorum</b></i> (<i>Sclerotinia</i> drop) on eggplant.
Sclerotinia2
Sclerotinia1