Mentha suaveolens
Description de la plante




- Description de la plantule :
Cotylédons en forme de spatule ;
Feuilles simples, profondément échancrées.


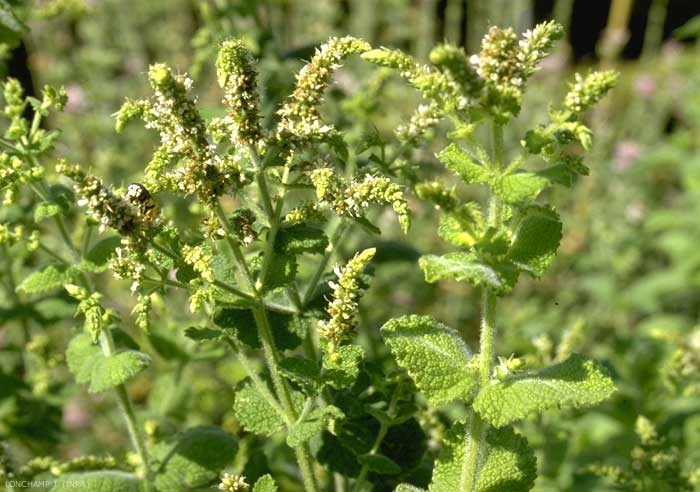
- Description de la plante adulte :
Hauteur : 30 à 50 cm ;
Tiges quadrangulaires dressées très ramifiées, poils peu denses, rejets aériens et souterrains ;
Feuilles opposées, vraies à nervation réticulée fortement saillante sur la face inférieure, sans pétiole, arrondies, 30 à 45 x 20 à 40 mm, bord scié, face supérieure ridée, face inférieure tomenteuse, parfois glabres ;
Fleurs blanc laineux, disposées en épi cylindrique. Bractées ovales en pointe égalant ou dépassant la fleur. Calice court, velu, en cloche, à 5 dents triangulaires. Corolle à 4 divisions ;
Fruits : akènes en 4 parties lisses à la surface et ovoïdes.


- Remarques :
Plante stomachique et antispasmodique.

Dernière modification : 08/10/2013
  • Auteurs :
  • J Gasquez (INRA)
  • J Lonchamp (INRA)
Mentha-suaveolens5
Figure 1
Mentha-suaveolens2
Figure 2
Mentha-suaveolens3
Figure 3
Mentha-suaveolens4
Figure 4